Korseby Online - Lepidoziaceae
Lepidoziaceae
Eine sehr heterogene Moosfamilie, die weltweit mit 28 Gattungen vorkommt, wovon 4 in Europa verbreitet sind.
Index
- Sekt. Bazzanioideae
- TODO: Bazzania azorica
- Bazzania flaccida (Entblößtes Peitschenmoos)
- TODO: Bazzania pearsonii
- TODO: Bazzania tricrenata
- Bazzania trilobata (Echtes Dreilappiges Peitschenmoos)
- Sekt. Lembidioideae
- Kurzia pauciflora
- Kurzia sylvatica
- Kurzia trichoclados
- Sekt. Lepidozioideae
- TODO: Lepidozia cupressina
- TODO: Lepidozia pearsonii
- Lepidozia reptans (Kriechendes Schuppenzweig-Lebermoos)
- TODO: Lepidozia stuhlmannii
- TODO: Tricholepidozia lindenbergii
- TODO: Tricholepidozia tetradactyla
- Sekt. Zoopsidoideae
- TODO: Telaranea azorica
- TODO: Telaranea europaea
Sekt. Bazzanioideae
TODO: Bazzania azorica
Bazzania flaccida (Entblößtes Peitschenmoos)
![]() |
|
Bazzania flaccida
|
TODO: Bazzania pearsonii
TODO: Bazzania tricrenata
Bazzania trilobata (Echtes Dreilappiges Peitschenmoos)
Sekt. Lembidioideae
Kurzia pauciflora
Fotos an Herbarbeleg "Z-000144925".
Fotos an Herbarbeleg "Peters-2025-32".
Kurzia sylvatica
Fotos an Herbarbeleg "Z-000130409".
Fotos an Herbarbeleg "Peters-2025-34".
Kurzia trichoclados
Fotos an Herbarbeleg "Z-000144921".
Sekt. Lepidozioideae
TODO: Lepidozia cupressina
TODO: Lepidozia pearsonii
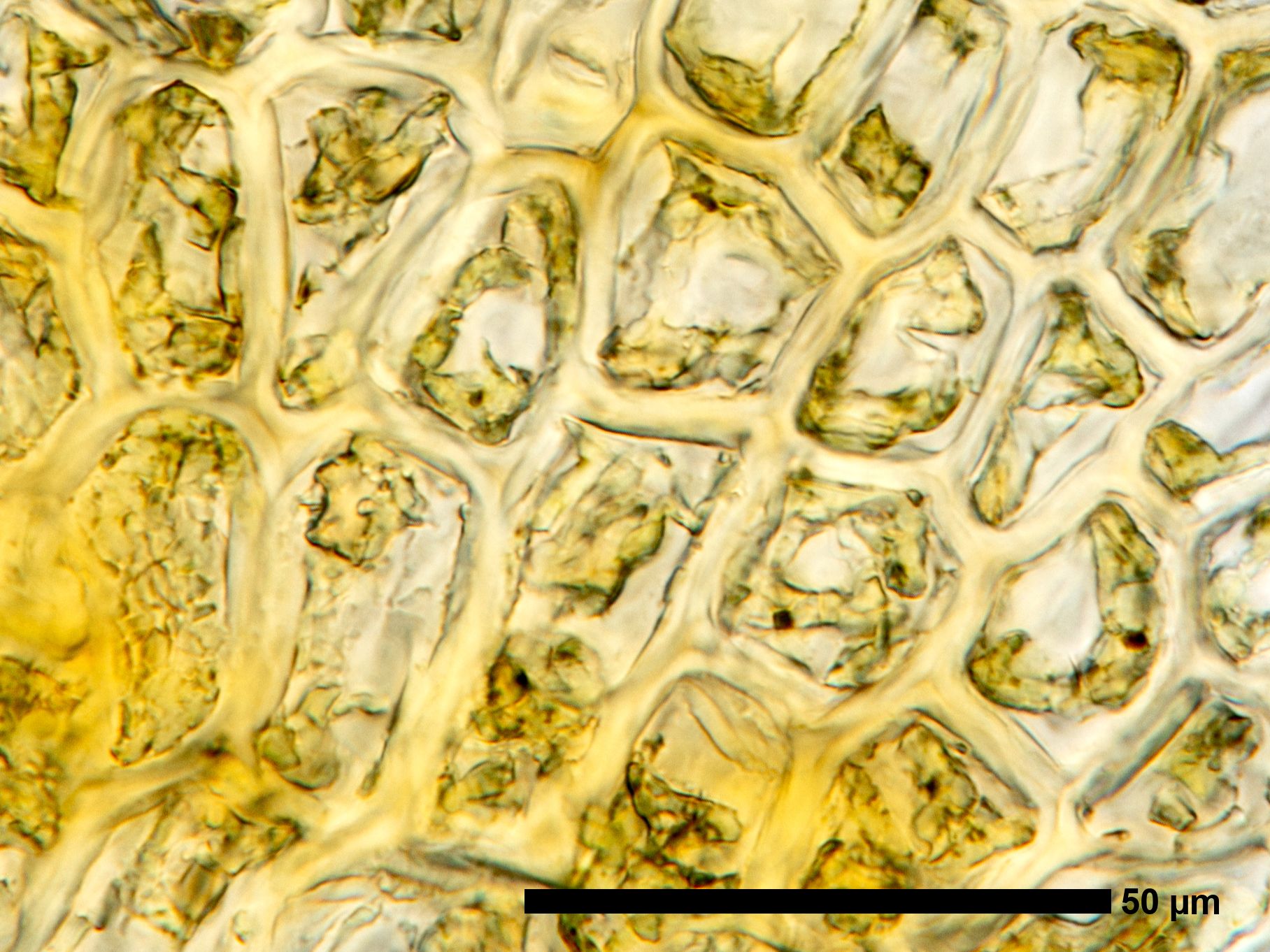
Lepidozia reptans (Kriechendes Schuppenzweig-Lebermoos)
![]() |
|
Lepidozia reptans
|
![]() |
|
Lepidozia reptans Detail
|
Vorkommen
Das Lebermoos besiedelt bevorzugt morsches Holz oder humose Erde in Laub- oder Nadelwäldern. Dort wächst es dem Substrat angedrückt meist zwischen anderen Laubmoosbeständen. Es kann jedoch auch auf kalkfreien Felsen, auf Rohhumus oder Torf vorkommen. Generell handelt es sich um ein stark kalkmeidendes Lebermoos. Das Kriechende Schuppenzweig-Lebermoos ist ein häufiges Lebermoos, welches von der Ebene bis in die subalpine Stufe zirkumboreal in den kühl gemäßigten Breiten der Nord- und Südhemisphäre vorkommt.
Merkmale
Das Kriechende Schuppenzweig-Lebermoos wächst in hellgrünen bis schmutzig gelbgrün gefärbten, flachen, dem Substrat angedrückten deckenartigen Überzügen. Seine kriechenden Zweige sind einfach gefiedert und nur von 1 bis 2 cm Länge und etwa 1 mm Breite. Die dicht gestellten, oberschlächtigen Flankenblätter sind in etwa 1,5 bis 2 mal so lang wie das Stämmchen und ausgebreitet subquadratisch geformt. Sie sind auf einem Drittel oder der Hälfte in 3 bis 4 lanzettliche Lappen geteilt. Die Zellen in der Blattmitte der Flankenblätter sind etwa 27 µm im Durchmesser. In den Lappen erreichen sie nur ungefähr 24 µm im Durchmesser. Die Zellen sind meist dünn- bis derbwandig. An den Ecken sind sie schwach verdickt. Die äußersten Zellen weisen eine glatte Cuticula auf. Die Unterblätter besitzen 4 lanzettliche Lappen. Ihre Zellen können 10 bis 15 Ölkörper aufweisen. Die weiblichen Hüllblätter sind viel größer als die Flankenblätter und oberseit mit 2 bis 5 kurzen Zähnen versehen. Das Perianth ist gestreckt und tief dreispaltig.



























































